Plek in het dierenrijk

Juweelkaardinaalbaarzen zijn de enige soort binnen hun genus; ze hebben dus geen héél nauwe familie onder de vissen. Maar ze hebben wel best veel familieleden die iets verder van ze af staan: de familie van de kardinaalbaarzen telt namelijk zo’n 350 soorten. Kardinaalbaarzen zijn vooral in het schemer actieve vissen, met grote ogen. Allemaal leven ze in groepen. Kadinaalbaarzen komen wereldwijd in tropische zeeën voor, sommige soorten zelfs in brakwater of zoetwater. De juweelkardinaalbaars heeft echter maar een heel klein verspreidingsgebied in de oceaan bij Indonesië.

Eigenschappen van de Juweelkardinaalbaars

Bijzonder gedrag

Bijzonder gedrag

Zoals alle leden uit zijn familie is deze vis een muilbroeder. Bij zeevissen is deze manier van broedzorg heel ongewoon. Direct na de bevruchting neemt het mannetje het pakketje van aan elkaar plakkende eieren in zijn bek. Daar houdt hij ze 19 dagen lang, tot de eieren uitkomen. En daarna zwemt hij ook nog een kleine week met het krioelende kroost in zijn bek, voordat hij de kleintjes uiteindelijk op een veilige plek uitspuugt. Al de tijd dat het mannetje eieren en jonkies in zijn bek heeft, staakt hij met eten!

Wist u dit al over juweelkardinaalbaarzen?

  • In de partnerkeuze vinden deze vissen de lichaamsgrootte van de ander belangrijk. Logisch, want grotere vrouwtjes leggen grotere eitjes en kunnen ook meer eitjes leggen. Maar dat is alleen zinvol, als het mannetje ook groot is en vooral een grote bek heeft!
  • Als de vadervis zijn taak heeft voltooid, laat hij zijn nageslacht op een veilige plek achter. Dat kan tussen de lange stekels van een zee-egel zijn, of tussen koralen en anemonen die met hun kleine giftententakels mogelijke vijanden weg houden.
  • Het stippenpatroon van de juweelkardinaalbaars is bij elk individu anders. Dit gebruiken oplettende gedragsonderzoekers om de vissen uit elkaar te houden. Deze vissen zijn dan ook geliefde objecten voor verschillende gedragsstudies.
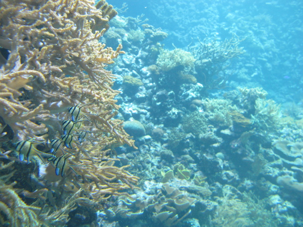
  • Overdag ‘hangen’ juweelkardinaalbaarzen een beetje op dezelfde plek dichtbij de rotsen en koralen van het rif. Met hun strepen, stippen en lang uitgerekte vinnen zijn ze wonderbaarlijk goed gecamoufleerd in het kleurrijke rif. Zodra het schemert, zwemmen ze wat meer het open water in om dierlijk plankton te eten.
Over de voortplanting

Over de voortplanting

Als een vrouwtje juweelkaardinaalbaars een oogje op een bepaald mannetje heeft geworpen, gaat ze om hem het hof maken. De twee trekken zich dan een tijdje uit de groep terug. Tussen twee dagen en een maand lang wordt er alleen ‘geflirt’ voordat zo’n paartje echt aan de voortplanting begint.

Eén met de natuur

Eén met de natuur

Deze vissen leggen minder eitjes en investeren in plaats daarvan veel tijd en moeite in enkele nakomelingen. De overlevingskans van een bevrucht eitje is bij deze soort vis dan ook veel hoger dan bij andere beenvissen, die miljoenen eitjes leggen.

Bedreiging en bescherming

Bedreiging en bescherming

Juweelkardinaalbaarzen komen uitsluitend in een 5.500 km2 groot zeegebied voor. Men schat dat er een kleine 2,5 miljoen van deze visjes zijn. Helaas werd tot een paar jaar geleden nog vrij excessief op deze vissen gejaagd, voor de export voor de particuliere aquariumhandel. Zo zijn er rond de afgelopen eeuwwisseling meer dan een half miljoen juweelkardinaalbaarzen per jaar geëxporteerd. Sommige populaties zijn daardoor met 90% achteruit gegaan; in één deelgebied, bij een eiland genaamd Limbo, zijn ze vermoedelijk uitgestorven. Door hun broedzorg zijn deze vissen eigenlijk best makkelijk te vermeerderen in aquaria. Het is alleen meer werk en duurder dan nieuwe vissen uit het wild te halen. In publieksaquaria plant deze soort goed voort.

  • <

    <Onbekend >

    >
  • <

    <Niet bedreigd >

    >
  • <

    <Bijna bedreigd >

    >
  • <

    <Kwetsbaar >

    >
  • <

    <Bedreigd >

    >
  • <

    <Ernstig bedreigd >

    >
  • <

    <Uitgestorven in het wild >

    >
  • <

    <Uitgestorven >

    >
De juweelkardinaalbaars in Burgers’ Ocean

Ook Burgers’ Zoo heeft sinds de opening van de Ocean in het jaar 2000 al veel nakweek bij deze vissen gehad. Reeds vele honderden jonge juweelkardinaalbaarzen hebben we aan andere publieksaquaria kunnen doneren. Mooi, want dat maakt wildvang overbodig!

In het grote koraalrifbassin zwemmen meer dan 200 juweelkardinaalbaarzen. Doordat ze overdag niet zo druk rondzwemmen, springen ze niet meteen in het oog. Maar als je ze een keer hebt ontdekt, zie je volwassen en kleintjes overal bij de rotsen en de koralen!

Sinds het jaar 2020 is er een tweede soort kardinaalbaarzen te zien in de Ocean, de kleinere wangvlekkardinaalbaars. Van deze soort zwemt een heel groepje bij elkaar in het kleine levende koraalbassin.